为切实加强烈士纪念设施保护管理,传承弘扬英烈精神和爱国主义精神。根据《中华人民共和国英雄烈士保护法》《烈士褒扬条例》《烈士纪念设施保护管理办法》等有关规定,经射阳县人民政府批准,划定县级以下烈士纪念设施保护范围。现予以公布。
烈士纪念设施受法律保护,任何组织和个人不得在烈士纪念设施保护范围内从事与纪念英烈无关或者有损纪念英烈环境和氛围的活动,不得侵占烈士纪念设施的土地和设施,不得破坏、污损烈士纪念设施。
附:县级以下烈士纪念设施保护范围
射阳县人民政府
2024年9月2日
县级以下烈士纪念设施保护范围
一、海河镇十八烈士陵园
保护范围:以海河镇十八烈士陵园宗地图(宗地代码:(320924005007JB00010)红线为基准线,面积为1652.88平方米(详见附件)。东、南、北以三周保护围墙为界,西以种植的绿植为界。
建设控制地带:以保护范围为基准线划定建设控制地带。
二、合德镇大兴烈士陵园
保护范围:以合德镇大兴烈士陵园宗地图(宗地代码:(320924019014GB00040)红线为基准线,面积为1802.49平方米(详见附件)。东、南、北以三周种植的绿植为界,西以保护围墙为界。
建设控制地带:以保护范围为基准线划定建设控制地带。
三、经济开发区陈洋烈士陵园
保护范围:以射阳经济开发区陈洋烈士陵园宗地图(宗地代码:(320924006008JB00002)红线为基准线,面积为110.57平方米(详见附件)。向东、向南、向西、向北外延1米。
建设控制地带:以保护范围为基准线划定建设控制地带。
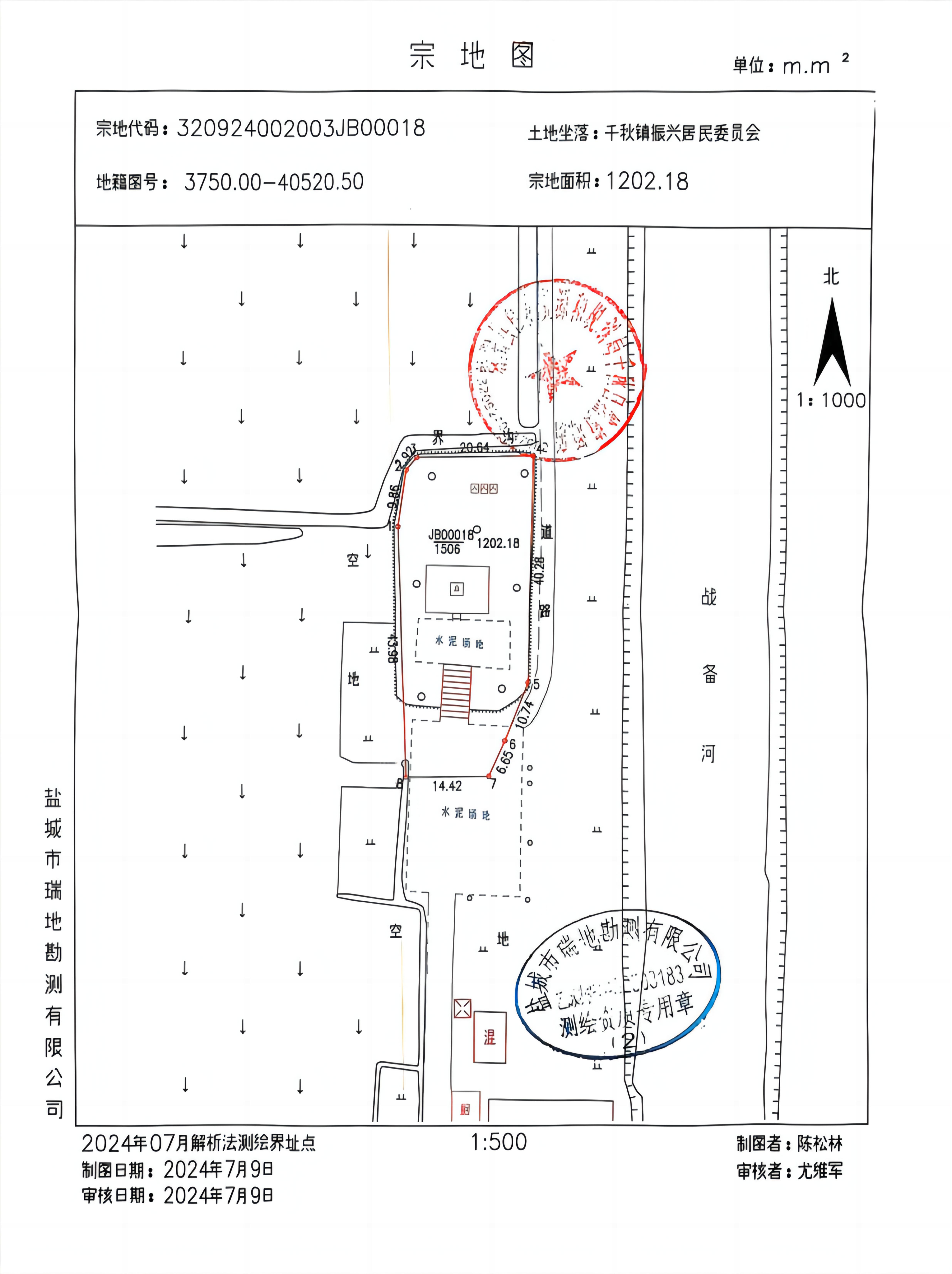
四、千秋镇烈士陵园
保护范围:以千秋镇烈士陵园宗地图(宗地代码:(320924002003JB00018)红线为基准线,面积为1202.18平方米(详见附件)。东至道路交界,以种植的绿植为界;向南外延至水泥场地,以水泥场地外侧边沿为界;西侧南部至水沟交界,以水泥场地外侧边沿为界,西侧北部以种植的绿植为界;北抵界沟,以界沟为界。
建设控制地带:以保护范围为基准线划定建设控制地带。
五、鲍墩革命烈士纪念碑
保护范围:以鲍墩革命烈士纪念碑宗地图(宗地代码:(320924002012GB00012)红线为基准线,面积为179.24平方米(详见附件)。东至水泥场地交界,以围栏护坡的底部边沿为界;南以水泥场地外侧边沿为界;西以种植的绿植外延1米为界;北至小路交界,以种植的绿植为界。
建设控制地带:以保护范围为基准线划定建设控制地带。
六、四明镇烈士陵园
保护范围:以四明镇烈士陵园宗地图(宗地代码:(320924004001JB00001)红线为基准线,面积为753.30平方米(详见附件)。东以护栏和保护围墙为界、南侧自保护围墙外延0.4米、西侧自保护围墙外延0.5米、北以保护围墙为界。
建设控制地带:以保护范围为基准线划定建设控制地带。
七、特庸镇烈士陵园
保护范围:以特庸镇烈士陵园宗地图(宗地代码:(320924014004JB00002)红线为基准线,面积为3413.87平方米(详见附件)。东、西、北以三周种植的绿植为界,南以保护围墙为界。
建设控制地带:以保护范围为基准线划定建设控制地带。
八、新坍镇烈士陵园
保护范围:以新坍镇烈士陵园宗地图(宗地代码:(320924011001JB00011)红线为基准线,面积为409.96平方米(详见附件)。东以保护围墙为界;向南、向西、向北外延至保护围墙,以保护围墙为界。
建设控制地带:以保护范围为基准线划定建设控制地带。
九、洋马镇烈士陵园
保护范围:以洋马镇烈士陵园宗地图(宗地代码:(320924015018GB00013)红线为基准线,面积为1266.38平方米(详见附件)。东、南、西以红线基准线为界,北以保护围墙为界。
建设控制地带:以保护范围为基准线划定建设控制地带。
十、长荡镇烈士陵园
保护范围:以长荡镇烈士陵园宗地图(宗地代码:(320924012001GB00005)红线为基准线,面积为420.45平方米(详见附件)。东、南、北以三周保护围墙为界;向西外延至保护围墙,以保护围墙为界。
建设控制地带:以保护范围为基准线划定建设控制地带。









